Спеціальні потреби

Наслідки урагану "Марія" в Пуерто-Ріко. Відео


Наслідки урагану "Марія" в Пуерто-Ріко. Відео
please wait

No media source currently available

0:00 0:01:03 0:00

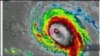
Ураган "Марія" вдарив по Пуерто-Ріко. За останніми повідомленнями, ураган повністю знеструмив острів.

XS
SM
MD
LG